Street Maintenance Program Schedule

2025/2026 Schedule

This is the page where you will find the schedule for the 2025–2026 fiscal year City Street Maintenance Program (CSMP). The schedule is being finalized and will be posted soon.

Residents (especially those in affected areas) are encouraged to check this page frequently. Here you’ll find information on which roads are planned for maintenance and updates on any delays or changes to the schedule.

For more information, visit the City Street Maintenance division page or the Slurry Seal / Micro Surfacing FAQ.

As changes occur to the street maintenance schedule, updates will be posted here. 

Update 3/24/2026 - The schedule for city slurry work for week 23 has been posted.

Update 3/19/2026 - Due to unexpected equipment breakdown the slurry work at Community Park scheduled for Sunday, March 22 will be postponed.  It will rescheduled at a later date.

Update 3/17/2026 - The schedule for city slurry work for week 22 has been posted.

Update 3/10/2026 - The schedule for city slurry work for week 21 has been posted.

Update 3/3/2026 - The schedule for city slurry work for week 20 has been posted.

Update 2/24/2026 - The schedule for city slurry work for week 19 has been posted.

Update 2/19/2026

Due to equipment breakdown all city slurry work scheduled for 2/19 will be cancelled.  Work will be rescheduled at a later date.

Update 2/18/2026 - Due to inclement weather, today's scheduled slurry work will be cancelled.  All roads will be rescheduled for a later date.

Update 2/17/2026 - The schedule for city slurry work for week 18 has been posted.

Update 2/10/2026 - Schedule posted 

The schedule for city slurry work for week 17 has been posted.

Update 2/2/2026 - Slurry work cancelled

All city slurry work for this week, February 2 through February 6 has been cancelled due to unforeseen circumstances.  We apologize for any inconvenience; new notices will be distributed once work has been rescheduled.

Update 1/31/2026 - Scheduled work cancelled

Due to unforeseen circumstances the following slurry work scheduled for Monday, February 2 will be cancelled:

Citrus Street from Karen Way to Church Street

Bluebonnet Boulevard from Hancock Road to Church Street

Lynn Drive from Baseline Road to Church Street

We apologize for any inconvenience.  Work will be rescheduled over the following weeks.

Update 1/29/2026

Due to equipment damage the following roads scheduled for slurry work will be cancelled for 1/29/2026.  These roads will be rescheduled in the following weeks:

Holly Street from Karen Way to Church Street

Lynn Drive from Hancock Road to Baseline Road

We apologize for any inconvenience and appreciate your understanding.

Update 1/27/2026 - Schedule posted

The schedule for city slurry work for week 17 has been posted.

Update 1/26/2026

Due to unexpected delays the following slurry work scheduled for today will not be completed.  Work will be rescheduled on a later date and new notifications will be distributed.

Palo Verde Drive from Yale Drive to River Gardens Drive

We apologize for any inconvenience.

Update 1/23/2026 - The schedule for city slurry work for week 16 has been posted.

Update 1/13/2026 - The schedule for city slurry work for the week ISSA has been posted.

Update 1/8/2026 - Slurry work cancelled

Due to inclement weather conditions the following roads will not be slurried today:

Rio Grande Road from McAlister Drive to Downey Drive

Greenfield Drive from McAlister Drive to Ranch Road

Work will be rescheduled in the coming weeks

Update 1/6/2026 - The schedule for city slurry work for week 15 has been posted.

Update 12/30/2025 - The slurry schedule for Week 14 has been posted.

Update 12/30/2025 - Due to unforeseen circumstances the slurry work on Coral Reef Drive scheduled for 12/29/2025 was not completed.  It has been rescheduled for Friday, January 2 2026.

Update 12/24/2025 - The slurry schedule for week 13 has been posted.

Update 12/16/2025 - The slurry schedule for week 12 has been posted.

Update 12/9/2025 - The slurry schedule for week 11 has been posted.

Update 12/2/2025 - The slurry schedule for week 10 has been posted.

Update 11/25/2025 - The slurry schedule for week 9 has been posted.

Update 11/21/2025 - Today's scheduled slurry work will be cancelled due to weather.  Roads will be rescheduled at a later date.

Update 11/19/2025 - Due to weather today's slurry work will be cancelled.  All roads will be rescheduled at a later date.

Slurry schedule for Week 8 has been posted.  Please note there will be no slurry work Wednesday, November 26 through Friday, November 28 in observance of Thanksgiving.

Update 11/17/2025 - Slurry work scheduled for Tuesday, November 18 will be cancelled due to equipment malfunction and/or weather.  Roads scheduled for this date will be rescheduled at a later time.

Update 11/14/2025 - Slurry work scheduled for Monday, November 17 has been cancelled due to equipment malfunction.

Update 11/13/2025 10:15 a.m. - The following roads scheduled for city slurry work on 11/13 have been cancelled due to equipment malfunction:

Rio Grande Road from Merced Drive to Harbor Place

Diamond Drive from Sea Spray Drive to Coral Reef Drive

Artesia Drive from Coral Reef Drive to Harbor Drive

We apologize for any inconvenience.

Update 11/13/2025 - City slurry work scheduled for Friday, November 14 will be cancelled due to equipment malfunctions.  The roads planned for this day will be rescheduled in the following weeks.

Update 11/10/2025 - The schedule for city slurry work for week 7 has been posted.

Update 11/4/2025 - The slurry schedule for Week 6 has been posted.

Update 10/30/2025 - An additional road has been added to scheduled slurry work for Friday, November 7.  Posted schedule has been updated.

Update 10/28/2025 - The schedule for Week 5 has been posted.

Update 10/21/2025 - The schedule for week 4 has been posted.

Update 10/14/2025 - The schedule for Week 3 has been posted.

Update 10/9/2025 - Slurry work scheduled for Tuesday, October 14 through Friday, October 17 has been cancelled.  All roads will be rescheduled at a later date.

Update 10/7/2025 - Due to mechanical issues the following roads scheduled for slurry work on 10/7 will be rescheduled:

Robson Cir E from Thunderbird Ln to 1970 Robson Cir E

Capistrano Lane N from Riverside Dr to the end of pavement

Update 10/7/2025 - The schedule for Week 2 has been posted.

Update 10/6/2025 - Due to mechanical issues the following roads scheduled for slurry work on 10/6 will be rescheduled:

Robson Cir W from Thunderbird Ln to 1975 Robson Cir W

Meander Dr from Rio Grande Rd to Merced Dr

Update 10/3/2025 - The schedule for Week 1 has been posted. 

Monday, March 30

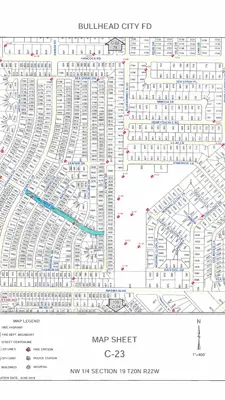
Scheduled roads are highlighted in BLUE on the following maps:

Quartz Avenue from Trane Road to Highland Road

Paradise Drive from Willow Lane to Paradise Lane

Zircon Bay North from Zircon Avenue to the end of the pavement

Zircon Bay South from Zircon Avenue to the end of the pavement

Zircon Avenue from Zircon Bay to Zircon Way

Tuesday, March 31

Scheduled roads are highlighted in ORANGE on the following maps:

Jasper Avenue from Trane Road to Highland Road

Citrus Street from Langford Drive to Lakeside Drive

Garnet Lane from Zircon Avenue to Baseline Road

Wednesday, April 1

Scheduled roads are highlighted in PINK on the following maps:

Zircon Avenue from Trane Road to Zircon Bay

Roadrunner Drive from Marina Parkway Drive to Willow Lane

Park Lane from Ramar Road to Wilson Road

Verde Drive from Wilson Road to Riverfront Drive

Thursday, April 2

Scheduled roads are highlighted in GREEN on the following maps:

Villa Lane from Baseline Road to Church Street

Palo Verde Drive from Lakeside Drive to Paradise Lane

Verde Drive from Ramar Road to Wilson Road

Joshua Lane from Marina Parkway Drive to Park Lane

Friday, April 3

Scheduled roads are highlighted in PURPLE on the following maps:

Langford Drive from Hancock Road to Baseline Road

Glen Drive from Langford Drive to Lakeside Drive

Sunday, March 22

Scheduled roads are highlighted in YELLOW on the following maps:

Baseline Road from Highway 95 to Trane Road

Community Park access road to South Beach area (See Maps)

Alleyway from Black Mountain Road to Booster Drive

Monday, March 23

Scheduled roads are highlighted in BLUE on the following maps:

Gemstone Circle from Gemstone Avenue to the end of the pavement

Gemstone Avenue from Highland Road to Hancock Way

Citrus Street from Lakeside Drive to Church Street

Alleyway from Zircon Avenue to Hancock Circle (Behind Fastrip gas station)

 

Tuesday, March 24

Scheduled roads are highlighted in ORANGE on the following maps:

Zircon Circle from Zircon Avenue to the end of the pavement

Zircon Court from Zircon Avenue to the end of the pavement

Zircon Avenue from Hancock Way to Zircon Court

Cedar Lane from Roadrunner Drive to Paradise Drive

Walking Trail along Highland Road (See Map)

Wednesday, March 25

Scheduled roads are highlighted in PINK on the following maps:

Agate Avenue from Trane Road to Highland Road

Onyx Lane from Trane Road to Silica Avenue

Willow Lane from Palo Verde Drive to Paradise Drive

Thursday, March 26

Scheduled roads are highlighted in GREEN on the following maps:

Gemstone Avenue from Trane Road to Highland Road

Silica Circle from Silica Avenue to the end of the pavement

Silica Avenue from Trane Road to Garnet Lane

Terrace Drive from Marina Parkway Drive to Riverfront Drive

Friday, March 27

Scheduled roads are highlighted in PURPLE on the following maps:

Langford Drive from Baseline Road to Ramar Road

Monday, March 16

Scheduled roads are highlighted in BLUE on the following maps:

Holly Street from Langford Drive to Lakeside Drive

Terrace Drive from Langford Drive to Lakeside Drive

Tuesday, March 17

Scheduled roads are highlighted in ORANGE on the following maps:

Roadrunner Drive from Langford Drive to Lakeside Drive

Riverfront Drive from Langford Drive to Lakeside Drive

Wednesday, March 18

Scheduled roads are highlighted in PINK on the following maps:

River Gardens Drive from Glen Drive to Ramar Road

Citrus Street from Langford Drive to Lakeside Drive

Thursday, March 19

Scheduled roads are highlighted in GREEN on the following maps:

Langford Drive from Ramar Road to Riverfront Drive

Glen Drive from Langford Drive to Lakeside Drive

Friday, March 20

Scheduled roads are highlighted in PURPLE on the following maps:

River Gardens Drive from Hancock Road to Glen Drive

Citrus Street (center only) from River Gardens Drive to Langford Drive

Monday, March 9

Scheduled roads are highlighted in BLUE on the following maps:

Terrace Drive from River Gardens Drive to Langford Drive

Palo Verde Drive from Yale Drive to River Gardens Drive

 

Tuesday, March 10

Scheduled roads are highlighted in ORANGE on the following maps:

Stahlman Drive from River Gardens Drive to Langford Drive

Brill Drive from River Gardens Drive to Langford Drive

Wednesday, March 11

Scheduled roads are highlighted in PINK on the following maps:

Palo Verde Drive from Langford Drive to Lakeside Drive

Church Street from Langford Drive to Lakeside Drive

Thursday, March 12

Scheduled roads are highlighted in GREEN on the following maps:

Turney Drive from Langford Drive to Lakeside Drive

Stahlman Drive from Langford Drive to Lakeside Drive

Friday, March 13

Scheduled roads are highlighted in PURPLE on the following maps:

River Gardens Drive from Ramar Road to Riverfront Drive

Baseline Road from Langford Drive to Brill Way

Monday, March 2

Scheduled roads are highlighted in BLUE on the following maps:

Bluebonnet Boulevard from Hancock Road to Church Street

Citrus Street from Church Street to Yale Drive

Lynn Drive from Baseline Road to Church Street

Tuesday, March 3

Scheduled roads are highlighted in ORANGE on the following maps:

Baseline Road from River Gardens Drive to Langford Drive

Church Street from River Gardens Drive to Langford Drive

Dean Drive from Baseline Road to Church Street

Wednesday, March 4

Scheduled roads are highlighted in PINK on the following maps:

Holly Street from River Gardens Drive to Langford Drive

Roadrunner Drive from River Gardens Drive to Langford Drive

Thursday, March 5

Scheduled roads are highlighted in GREEN on the following maps:

Gemstone Avenue from River Gardens Drive to Langford Drive

Glen Drive from River Gardens Drive to Langford Drive

Friday, March 6

Scheduled roads are highlighted in PURPLE on the following maps:

Riverfront Drive from River Gardens Drive to Langford Drive

Citrus Street from River Gardens Drive to Langford Drive

Monday, February 23

Scheduled roads are highlighted in BLUE on the following maps:

Church Street from Taylor Road to Church Street

Turney Drive from Langford Drive to Palo Verde Drive

Brill Way from Brill Drive to the end of the pavement

Tuesday, February 24

Scheduled roads are highlighted in ORANGE on the following maps:

Yale Drive from Ramar Road to Riverfront Drive

Brill Drive from Langford Drive to Brill Way

Wednesday, February 25

Scheduled roads are highlighted in PINK on the following maps:

Palo Verde Drive from Palo Verde Drive to the end of the pavement

Palo Verde Drive from River Gardens Drive to Turney Drive

Baseline Road from Bluebonnet Boulevard to River Gardens Drive

Baseline Road from Langford Drive to Brill Way

Thursday, February 26

Scheduled roads are highlighted in GREEN on the following maps:

Palo Verde Drive from Turney Drive to Langford Drive

Church Street from Bluebonnet Boulevard to River Gardens Drive

Citrus Street from Karen Way to Church Street

Friday, February 27

Scheduled roads are highlighted in PURPLE on the following maps:

Yale Drive from Hancock Road to Church Street

Paige Drive from Paige Drive to the end of the pavement

Paige Drive from the 2nd cul-de-sac to Church Street

Monday, February 16

There will be no slurry work in observance of President's Day.

Tuesday, February 17

Scheduled roads are highlighted in ORANGE on the following maps:

Holly Street from Karen Way to Church Street

Paige Drive from Paige Drive to the end of the pavement

Paige Drive from the 2nd cul-de-sac to Church Street

Lynn Drive from Hancock Road to Baseline Road

Wednesday, February 18

Scheduled roads are highlighted in PINK on the following maps:

Citrus Street from Karen Way to Church Street

Lynn Drive from Baseline Road to Church Street

Dean Drive from Baseline Road to Church Street

Thursday, February 19

Scheduled roads are highlighted in GREEN on the following maps:

Bluebonnet Boulevard from Hancock Road to Church Street

Citrus Street from Church Street to Yale Drive

 

Friday, February 20

Scheduled roads are highlighted in PURPLE on the following maps:

Riverfront Drive from Terrace Drive to Yale Drive

Gemstone Way from Gemstone Avenue to Baseline Road

Monday, February 2

Scheduled roads are highlighted in BLUE on the following maps.

Citrus Street from Karen Way to Church Street

Bluebonnet Boulevard from Hancock Road to Church Street

Lynn Drive from Baseline Road to Church Street

Tuesday, February 3

Scheduled roads are highlighted in ORANGE on the following maps.

Church Street from Taylor Road to Church Street

Dean Drive from Baseline Road to Church Street

Turney Drive from Langford Drive to Palo Verde Drive

 

Wednesday, February 4

Scheduled roads are highlighted in PINK on the following maps.

Yale Drive from Hancock Road to Church Street

Palo Verde Drive from Palo Verde Drive to the end of the pavement

Palo Verde Drive from River Gardens Drive to Turney Drive

 

Thursday, February 5

Scheduled roads are highlighted in GREEN on the following maps.

Baseline Road from Bluebonnet Boulevard to River Gardens Drive

Palo Verde Drive from Turney Drive to Langford Drive

Gemstone Way from Gemstone Avenue to Baseline Road

Friday, February 6

Scheduled roads are highlighted in PURPLE on the following maps.

Church Street from Bluebonnet Boulevard to River Gardens Drive

Stahlman Drive from River Gardens Drive to Langford Drive

Monday, January 26

Scheduled roads are highlighted in BLUE on the following maps.

Holly Street from Yale Drive to River Gardens Drive

Palo Verde Drive from Yale Drive to River Gardens Drive

Stahlman Drive from Yale Drive to River Gardens Drive

Tuesday, January 27

Scheduled roads are highlighted in ORANGE on the following maps.

Citrus Street from Yale Drive to River Gardens Drive

Roadrunner Drive from Yale Drive to River Gardens Drive

Terrace Drive from Yale Drive to River Gardens Drive

Wednesday, January 28

Scheduled roads are highlighted in PINK on the following maps.

Riverfront Drive from Yale Drive to River Gardens Drive

Karen Way from Holly Street to the end of the pavement

Dean Drive from Hancock Road to Baseline Road

Thursday, January 29

Scheduled roads are highlighted in GREEN on the following maps.

Holly Street from Karen Way to Church Street

Paige Drive (1st cul-de-sac) from Paige Drive to the end of the pavement

Paige Drive (2nd cul-de-sac)  from Paige Drive to the end of the pavement

Paige Drive from Karen Way to the 2nd cul-de-sac

Lynn Drive from Hancock Road to Baseline Road

Friday, January 30

Scheduled roads are highlighted in PURPLE on the following maps.

Yale Drive from Church Street to Riverfront Drive

Paige Drive (3rd cul-de-sac) from Paige Drive to the end of the pavement

Paige Drive from 2nd cul-de-sac to Church Street

Monday, January 19

There will be no slurry work in observance of Martin Luther King Day.

Tuesday, January 20 through Thursday, January 22

There will be no slurry work while the crew attends the annual ISSA Conference for training.

Friday, January 23

Scheduled roads are highlighted in PURPLE on the following maps:

Harbor Drive from Clearwater Drive to El Monte Drive

Greenfield Drive from McAlister Drive to Ranch Road

Rio Grande Road from Hancock Road to Downey Drive

Monday, January 12

Scheduled roads are highlighted in BLUE on the following maps:

Roadrunner Drive from Riverfront Drive to Taylor Road

Church Street from Taylor Road to the end of the pavement

Terrace Drive from Riverfront Drive to Taylor Road

Paige Drive from Church Street to Palo Verde Drive

Tuesday, January 13

Scheduled roads are highlighted in ORANGE on the following maps:

Anna Circle from Church Street to Anna Circle

Palo Verde Drive from Taylor Road to Yale Drive

Stahlman Drive from Taylor Road to Yale Drive

Wednesday, January 14

Scheduled roads are highlighted in PINK on the following maps:

Anna Circle from Riverfront Drive to 385 Anna Circle

Roadrunner Drive from Taylor Road to Yale Drive

Terrace Drive from Taylor Road to Yale Drive

Thursday, January 15

Scheduled roads are highlighted in GREEN on the following maps:

Anna Circle from Riverfront Drive to 383 Anna Circle

Silver Lane (Eastbound side only) from 556 Silver Lane to 568 Silver Lane

Robson Circle West from 1938 Robson Circle West to 1969 Robson Circle West

Friday, January 16

Scheduled roads are highlighted in PURPLE on the following maps:

Taylor Road from Church Street to Riverfront Drive

Holly Street from Church Street to Yale Drive

Havasu Lane from Diamond Drive to Swan Drive

Monday, January 5

Scheduled roads are highlighted in BLUE on the following maps:

Ranch Road from Dianne Drive to Greenfield Drive

Paddock Drive from Downey Drive to Greenfield Drive

Coral Reef Drive from Hancock Road to McAlister Drive

Tuesday, January 6

Scheduled roads are highlighted in ORANGE on the following maps:

Wagon Wheel Drive from Dianne Drive to Greenfield Drive

Downey Drive from Rio Grande Road to Greenfield Drive

Wednesday, January 7

Scheduled roads are highlighted in PINK on the following maps:

McAlister Drive from Dianne Drive to Greenfield Drive

Downey Drive from Rio Grande Road to Riverfront Drive

Thursday, January 8

Scheduled roads are highlighted in GREEN on the following maps:

Greenfield Drive from McAlister Drive to Ranch Road

Rio Grande Road from Hancock Road to Downey Drive

Coral Reef Drive from Clearwater Drive to Monterey Drive

Mead Lane from Hualapai Drive to White Sands Drive

Friday, January 9

Scheduled roads are highlighted in PURPLE on the following maps:

Coral Reef Drive from McAlister Drive to Wagon Wheel Drive

Dianne Drive from McAlister Drive to Ranch Road 

Coral Reef Drive from Hancock Road to Monterey Drive

Monday, December 29

Scheduled roads are highlighted in BLUE on the following maps:

Coral Reef Drive from Clearwater Drive to El Monte Drive

Paseo del Rio from Riverview Drive to Riviera Boulevard

Paseo del Rio from Riviera Boulevard to Riviera Boulevard

Malibu Plaza from Malibu Circle North to the end of the pavement

Malibu Bay from Malibu Circle North to the end of the pavement

Malibu Circle North from Malibu Court to Malibu Bay

Tuesday, December 30

Scheduled roads are highlighted in ORANGE on the following maps:

Mead Lane from Diamond Drive to Hualapai Drive

Havasu Lane from Diamond Drive to Swan Drive

Wednesday, December 31

Scheduled roads are highlighted in PINK on the following maps:

Malibu Circle North from Malibu Bay to Malibu Drive

Malibu Drive from Clearwater Drive to Malibu Circle North

Malibu Circle from Malibu Circle North to the end of the pavement

Swan Circle from Swan Drive to the end of the pavement

Havasu Cove from Swan Drive to the end of the pavement

Swan Drive from Gregg Lane to White Sands Drive

Thursday, January 1 and Friday, January 2

There will be no slurry maintenance work in observance of New Year's Day

Monday, December 22

Scheduled roads are highlighted in BLUE on the following maps:

Sea Spray Drive from Coral Reef Drive to Arrowhead Drive

Hualapai Drive from Coral Reef Drive to Harbor Drive

Silver Lane from Diamond Drive to White Sands Drive

Tuesday, December 23

Scheduled roads will be highlighted in ORANGE on the following maps:

Harbor Drive from Clearwater Drive to Del Norte Drive

Hualapai Drive from Marina Boulevard to Havasu Lane

Malibu Court from Malibu Circle North to the end of the pavement

Malibu Dr/Malibu Circle North from Riviera Boulevard to Malibu Court

Wednesday, December 24 through Friday, December 26

There will be no city slurry work Wednesday, December 24 through Friday, December 26 in observance of the Christmas holiday

December 16-20

Slurry work will take place in various city parking lots

Tuesday, December 16 - Boys & Girls Club (Green)

Wednesday, December 17 - BARC & PD (Yellow & Red)

Thursday, December 18 - PD & Council Chambers (Blue & Green)

Friday, December 19 - Council Chambers (Blue)

Saturday, December 20 - City Hall (Pink & Purple)

These areas will be closed while work is being done.  The following map shows areas colored by day.

 

Monday, December 8

Scheduled roads are highlighted in BLUE on the following maps:

Malibu Drive from Clearwater Drive to Oswood Lane

Gregg Cove from Swan Drive to the end of the pavement

Gregg Lane from Swan Drive to Mead Lane

Swan Drive from Hualapai Drive to Gregg Lane

Tuesday, December 9

Scheduled roads are highlighted in ORANGE on the following maps:

El Monte Drive from Seafair Drive to Sea Spray Drive

El Dorado Drive from Rio Grande Way to Sea Spray Drive

Colorado Boulevard from Marina Boulevard to Rio Grande Road

Wednesday, December 10

Scheduled roads are highlighted in PINK on the following maps:

Monterey Drive from Coral Reef Drive to Harbor Drive

Hualapai Drive from Marina Boulevard to Seafair Drive

Sea Spray Drive from Coral Reef Drive to Arrowhead Drive

Sea Spray Drive from Coral Reef Drive to El Dorado Drive

Dustin Burnett Way from Whitewater Drive to Veteran's Park Entrance

Thursday, December 11

Scheduled roads are highlighted in GREEN on the following maps:

Arrowhead Drive from Sea Spray Drive to Arrowhead Cove

Avalon Drive from Harbor Drive to Coral Reef Drive

Granada Drive from Coral Reef Drive to Sea Spray Drive

Rio Grande Road from Marina Boulevard to Harbor Place

Friday, December 12

Scheduled roads are highlighted in PURPLE on the following maps:

Whitewater Drive from Oswood Lane to Whitewater Way

Colorado Boulevard (southbound lane only) from Hancock Road to Riverside Drive

Robson Circle West from 1938 Robson Circle West to 1969 Robson Circle West

Monday, December 1

Scheduled roads are highlighted in BLUE on the following maps:

Montclair Drive from Coral Reef Drive to Harbor Drive

Hualapai Drive from Seafair Drive to Sea Spray Drive

Imperial Drive from Harbor Drive to Coral Reef Drive

Rio Grande Road from Merced Drive to Harbor Place

Tuesday, December 2

Scheduled roads are highlighted in ORANGE on the following maps:

Arrowhead Cove from Arrowhead Drive to the end of the pavement

Arrowhead Drive from Artesia Drive to Arrowhead Cove

Seafair Drive from Clearwater Drive to El Monte Drive

Artesia Drive from Coral Reef Drive to Harbor Drive

Wednesday, December 3

Bullhead Parkway (medians only) from Adobe Road to Highway 95 (southern intersection)

Thursday, December 4

Scheduled roads are highlighted in GREEN on the following maps:

Diamond Drive from Sea Spray Drive to Coral Reef Drive

Rio Grande Way from Coral Reef Drive to Rio Grande Road

Swan Bay from Swan Drive to the end of the pavement

Swan Drive from Swan Cove to Hualapai Drive

Friday, December 5

Scheduled roads are highlighted in PURPLE on the following maps:

Rio Grande Road from Rio Grande Court to Merced Drive

El Monte Drive from Coral Reef Drive to Seafair Drive

Seafair Drive from El Monte Drive to the end of the pavement

El Dorado Drive from Rio Grande Way to Del Norte Drive

Monday, November 24

Scheduled roads are highlighted in BLUE on the following maps:

Granada Drive from Coral Reef Drive to Harbor Drive

White Sands Drive from Silver Lane to Mead Lane

Swan Drive from Riviera Boulevard to White Sands Drive

Tuesday, November 25

Scheduled roads are highlighted in ORANGE on the following maps:

Diamond Drive from Silver Lane to Mead Lane

Malibu Circle South from Malibu Drive to Malibu Drive

Wednesday, November 26

No slurry work

Thursday, November 27

No slurry work

Friday, November 28

No slurry work

Monday, November 17

Scheduled roads are highlighted in BLUE on the following maps:

Malibu Drive from Clearwater Drive to Oswood Lane

El Monte Drive from Coral Reef Drive to Seafair Drive

Seafair Drive from El Monte Drive to the end of the pavement

El Dorado Drive from Rio Grande Way to Del Norte Drive

Dustin Burnett Way from Whitewater Drive to the entrance of Veteran's Memorial Park

Tuesday, November 18

Scheduled roads are highlighted in ORANGE on the following maps:

El Monte Drive from Seafair Drive to Sea Spray Drive

El Dorado Drive from Rio Grande Way to Sea Spray Drive

Colorado Boulevard from Marina Boulevard to Rio Grande Road

Wednesday, November 19

Scheduled roads are highlighted in PINK on the following maps:

Monterey Drive from Coral Reef Drive to Harbor Drive

Hualapai Drive from Marina Boulevard to Seafair Drive

Sea Spray Drive from Coral Reef Drive to Arrowhead Drive

Sea Spray Drive from Coral Reef Drive to El Dorado Drive

Thursday, November 20

There will be no slurry work this day.

Friday, November 21

Scheduled roads are highlighted in PURPLE on the following maps:

Whitewater Drive from Oswood Lane to Whitewater Way

Robson Circle West from 1938 Robson Circle West to 1969 Robson Circle West

Colorado Boulevard (southbound lane only) from Hancock Road to Riverside Drive

Monday, November 10

Scheduled roads are highlighted in BLUE on the following maps:

Oliver Drive from Coral Reef Drive to Marina Boulevard

Avalon Drive from Coral Reef Drive to Hualapai Drive

Sea Spray Drive from Clearwater Drive to El Monte Drive

Sea Spray Drive from Clearwater Drive to the end of the pavement

Tuesday, November 11

There will be no slurry work in observance of Veteran's Day

Wednesday, November 12

Scheduled roads will be highlighted in PINK on the following maps:

Artesia Cove from Artesia Drive to the end of the pavement

Artesia Place from Artesia Drive to the end of the pavement

Artesia Drive from Sea Spray Drive to Coral Reef Drive

Rio Grande Road from Hancock Road to Rio Grande Court

Diamond Drive from Harbor Drive to Coral Reef Drive

Thursday, November 13

Scheduled roads will be highlighted in GREEN on the following maps:

Rio Grande Road from Merced Drive to Harbor Place

Diamond Drive from Sea Spray Drive to Coral Reef Drive

Artesia Drive from Coral Reef Drive to Harbor Drive

Swan Cove North & South from Swan Drive to the end of the pavement

Swan Drive from Clearwater Drive to Swan Cove

Friday, November 14

Scheduled roads will be highlighted in PURPLE on the following maps:

Rio Grande Road from Marina Boulevard to Harbor Place

Granada Drive from Coral Reef Drive to Sea Spray Drive

Rio Grande Way from Coral Reef Drive to Rio Grande Road

Swan Bay from Swan Drive to the end of the pavement

Swan Drive from Swan Cove to Hualapai Drive

Monday, November 3

Scheduled roads are highlighted in BLUE on the following maps.

Whitewater Drive from Oswood Lane to Whitewater Way

Patillo Drive from Clearwater Drive to Oswood Lane

Swan Drive from Clearwater Drive to Oswood Lane

Rio Grande Road from Colorado Boulevard to Whitewater Drive

Tuesday, November 4

Scheduled roads are highlighted in ORANGE on the following maps

Steiger Drive from Clearwater Drive to Rathke Drive

Fox Drive from Clearwater Drive to Oswood Lane

Emery Drive from Clearwater Drive to Oswood Lane

Wednesday, November 5

Scheduled roads are highlighted in PINK on the following maps

Rathke Drive from Malibu Drive to Whitewater Drive

Oliver Street from Marina Boulevard to Santa Maria Road

Rio Grande Road from Colorado Boulevard to Santa Cruz Avenue

Del Norte Drive from Rio Grande Way to Del Norte Drive (this includes the two cul-de-sacs in this section)

Thursday, November 6

Scheduled roads are highlighted in GREEN on the following maps

Oswood Lane from Santa Maria Road to Whitewater Drive

Rio Grande Road from Santa Cruz Avenue to Marina Boulevard

Del Norte Drive from Del Norte Drive to Harbor Drive

El Monte Cove from El Monte Drive to the end of the pavement

El Monte Drive from Harbor Drive to Coral Reef Drive

Friday, November 7

Scheduled roads are highlighted in PURPLE on the following maps

Colorado Boulevard from Hancock Road to Riverwood Lane

Santa Cruz Avenue from Rio Grande Road to Rio Grande Road

Monday, October 27

Scheduled roads are highlighted in BLUE on the following maps

Sea Creek Drive from Rio Grande Road to Colorado Boulevard

Riverside Drive from Orca Lane to Castle Rock Circle

Santa Cruz Avenue from Rio Grande Road to Rio Grande Road

Tuesday, October 28

Scheduled roads are highlighted in ORANGE on the following maps

Riverside Drive from Riverwood Lane to Orca Lane

Whitewater Drive from Marina Boulevard to Sacramento Street

Riverwood Lane from Rio Grande Road to Colorado Boulevard

Wednesday, October 29

Scheduled roads are highlighted in PINK on the following maps

Riverside Drive from Colorado Boulevard to Riverwood Lane

Whitewater Drive from Sacramento Street to Rio Grande Road

Rio Grande Court from Rio Grande Road to the end of the pavement

Whitewater Way from Steiger Drive to Whitewater Drive

Thursday, October 30

Scheduled roads are highlighted in GREEN on the following maps

Whitewater Drive from Rio Grande Road to Oswood Lane

Santa Maria Way from Malibu Drive Santa Maria Road

Santa Maria Road from Oswood Lane to Santa Maria Way

Oswood Lane from Marina Boulevard to Patillo Drive

Friday, October 31

Scheduled roads are highlighted in PURPLE on the following maps

Colorado Boulevard from Riverwood Lane to Marina Boulevard

Robson Circle W from Thunderbird Lane to 1975 Robson Circle W

Monday, October 20

Scheduled roads are highlighted in BLUE on the following maps.

 

Castle Rock Circle from Riverside Drive to 2385 Castle Rock Circle

Merced Drive from Rio Grande Road to Meander Drive

Santa Cruz Avenue from Colorado Boulevard to Rio Grande Road

Forest Drive from Sea Creek Drive to Riverwood Lane

 

Tuesday, October 21

Scheduled roads are highlighted in ORANGE on the following maps.

Merced Drive from Rio Grande Road to Meander Drive

Cyprus Lane from Colorado Boulevard to Riverside Drive

Nevada Drive from Marina Boulevard to Oswood Lane

Nevada Circle from Nevada Drive to the end of pavement

Wednesday, October 22

Scheduled roads will be highlighted in PINK on the following maps.

Forest Drive from Hancock Road to Sea Creek Drive

Santa Maria Avenue from Rio Grande Road to Colorado Boulevard

Thunderbird Lane from Rio Grande Road to Robson Circle E

Riverside Drive from Colorado Boulevard to Capistrano Lane

Thursday, October 23

Scheduled roads will be highlighted in GREEN on the following maps.

Rio Grande Way from Rio Grande Road to Riverwood Lane

Thunderbird Lane from Colorado Boulevard to Robson Cir W

Riverside Drive from Capistrano Lane to Castle Rock Circle

Capistrano Lane N from Riverside Drive to the end of pavement

Friday, October 24

Scheduled roads will be highlighted in PURPLE on the following maps.

Meander Drive from Rio Grande Road to Merced Drive

Willowood Lane from Colorado Boulevard to the end of pavement

Riverwood Lane from Colorado Boulevard to Riverside Drive

Robson Cir E from Thunderbird Lane to 1970 Robson Cir E

Monday October 6

Monday's streets are highlighted on the accompanying map in blue

  • Castleberry Ln from Riverside Dr to Orca Ln
  • Robson Cir W from Thunderbird Ln to 1975 Robson Cir W
  • Meander Dr from Rio Grande Rd to Merced Dr
  • Harbor Pl From Rio Grande Rd to the end of pavement

Tuesday October 7

Tuesday's streets are highlighted on the accompanying map in orange

  • Robson Cir E from Thunderbird Ln to 1970 Robson Cir
  • Capistrano Ln N from Riverside Dr to the end of pavement
  • Capistrano Ln S from Riverside Dr to the end of pavement
  • Tanglewood Ln from Colorado Blvd to Riverwood Ln

Wednesday October 8

Wednesday's streets are highlighted on the accompanying map in pink

  • Riverbend Cir E from Thunderbird Ln to 1995 Riverbend Cir E
  • Willowood Ln from Colorado Blvd to the end of pavement
  • Riverwood Ln from Colorado Blvd to Riverside Dr
  • Orca Ln from Castleberry Ln to Riverside Dr

Thursday October 9

Thursday's streets are highlighted on the accompanying map in green

  • Riverbend Cir W from Thunderbird Ln to 1994 Riverbend Cir W
  • Orca Ln from Riverside Dr to Castleberry Ln
  • Forest Way from Forest Dr to Riverwood Ln
  • Sacramento St from Colorado Blvd to Whitewater Dr

Friday October 10

Friday's streets are highlighted on the accompanying map in purple

  • Meander Dr Rio from Rio Grande Rd to Thunderbird Ln
  • Castle Rock Cir from Riverside Dr to 2385 Castle Rock Cir
  • Sweetwater Dr from Santa Maria Ave to Santa Cruz Ave
  • Santa Cruz Ave from Colorado Blvd to Whitewater Dr
Map of Riviera Peninsula focusing on Colorado Blvd near Riverwood Ln
Map of Rio Grande Rd near Riverwood Lane
Map of City Streets near Castle rock Cir and Riverside Dir with colored highlighted areas depicting sections of streets to be treated on specific days
Map of City Streets near marina blvd and Colorado Blvd with colored highlighted areas depicting sections of streets to be treated on specific days